Casa en Venta en Pérez, Santa Fe.

Pérez Santa Fe

Pérez,

AV. SAN MART?N1800

2
4
288m2
288m2

Descripción

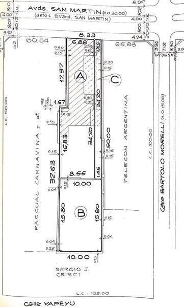
IDEAL EMPRENDIMIENTOS COMERCIALESPÉREZ - CASA 4 DORMITORIOSEXCELENTE UBICACIÓN - A 20 minutos de Rosario, sobre Av. San Martín.Emplazada en zona bancaria, radio céntrico de la ciudad de Pérez. A pocos metros del CLUB MITRE.Propiedad al frente desarrollada sobre un terreno de forma irregular de superficie total 263,40 m², siendo su frente 6,88 m por 34,20 m de fondo.La edificación, compuesta de 2 plantas, se distribuye con los siguientes ambientes:En PLANTA BAJA encontramos una galería, living, cocina-comedor, 4 dormitorios, 2 baños y lavadero.Además hay un galpón con baño, techado con chapas en plano inclinado.-En PLANTA ALTA se diseñó un depósito.-En total dispone de 288 m² cubiertos.-En materia de servicios, se encuentra conectada al agua corriente y al gas natural. Cloacas disponibles al frente. Asfalto y cordón cuneta.-
Última remodelación año 2016.

Todas las fotos publicadas son propiedad intelectual de Furigo Negocios Inmobiliarios. No es permitida su utilización comercial.

FURIGO Negocios Inmobiliarios para vidas en movimiento!

Pablo C. Furigo
Mat. 0334 COCIR


XINTEL (FUG-FUG-526)


Datos de la propiedad

  • ID#
    310516-373
  • Tipo de construcción
    Casa
  • Condición
    Venta
  • Superficie Total m2
    288
  • Dormitorios
    4
  • Cochera
    Sin Cochera
  • Superficie Cubierta m2
    288
  • Baños
    2
  • Plantas

Ubicación

Av. San Mart?n1800

Avisos similares