Lote en Venta en Rosario, Santa Fe.

Rosario Santa Fe

Abasto,

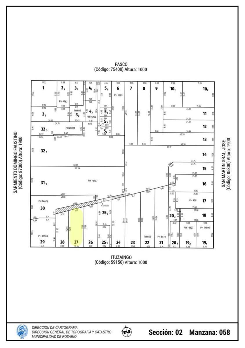
ITUZAING?1000

271m2

Descripción

Ubicado en el corazón de Barrio Abasto.
A metros de Plaza Libertad y muy próximo también a PLaza López.
A 3 cuadras de Av Pellegrini, en el área de facultades como UCEL y demás instituciones privadas.

Medidas: Amplio frente de 10,34 m sobre calle Ituzaingó, con un fondo de 24,99 m en su lado Oeste y 27,58 m de fondo en su lado Este.
Estas medidas generan un óptimo aprovechamiento de la superficie edificable.

Superficie Total del lote: 217,95 m2

Altura edificable: 19,50 metros (PB+6)

Centro de manzana: NO

Afectación de Patrimonio Histórico: NO 


XINTEL (FUG-FUG-44)


Datos de la propiedad

  • ID#
    310516-67
  • Tipo de construcción
    Lote
  • Condición
    Venta
  • Superficie Total m2
    271

Ubicación

Ituzaing?1000

Avisos similares