Terreno en Venta en Tunuyan, Mendoza.

Tunuyan Mendoza

a METROS DE LA RUTA 40, Tunuyán

ARMANI 85

300m2

Descripción

Venta de Terreno en El Centro de Tunuyán - Ideal Emprendimiento!
DI PALERMO PROPIEDADES VENDE.

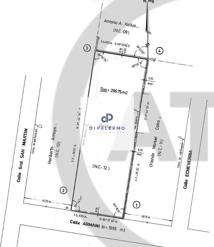
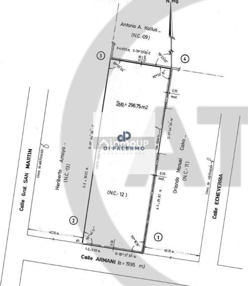
Terreno de 296.75 m² propios ubicado sobre la calle ARMANI 85, entre la Ruta 40 y Echeverria, del Municipio de Tunuyán.

Cuenta con 9.90 metros de frente y casi 30 metros de fondo.

Su orientación es SUR (frente) NORTE (fondo)

Entorno totalmente construido.

Ideal para construcción de edificio o complejos, locales comerciales, etc.

ZONA IDEAL PARA EMPRENDIMIENTO TURISTICO o ALQUILERES TEMPORALES.

SERVICIOS DE LUZ, AGUA, GAS, CLOACAS y FIBRA ÓPTICA.

ZONA: COMERCIAL MIXTA

CALLE: RESIDENCIAL MIXTA

FOS 0.80 y FOT 2.60

Sin retiro frontal.

El terreno se encuentra totalmente baldío y listo para escriturar.

VALOR USD. 25.000

Realizamos visitas todos los días.
Solo tenemos que coordinar días y horarios y nos adaptamos a sus posibilidades.

Por cualquier consulta no dude en contactarnos...

TENEMOS PÁGINA WEB Y REDES
BUSCANOS COMO @DIPALERMOPROPIEDADES
DANOS TU LIKE EN FACEBOOK Y SEGUINOS EN INSTAGRAM

DI PALERMO PROPIEDADES®.
CCPIM 1609
#QueremosAyudarte


Datos de la propiedad

  • ID#
    36931-199
  • Tipo de construcción
    Terreno
  • Condición
    Venta
  • Superficie Total m2
    300
  • Piscina
    No
  • Zona Escolar
    No
  • Luz Eléctrica
  • Agua
  • Gas
  • Teléfono
    No
  • Cloacas
    No
  • Barrio Privado
    No
  • Tiene Expensas
    No
  • Financiación
  • ¿Recibe Permuta?

Ubicación

Armani 85

Avisos similares