Casa en Venta en Lujan de Cuyo, Mendoza.

Lujan de Cuyo Mendoza

Tierras Altas, Carrodilla

¡¡¡…ADYACENCIAS "ACC. SUR"..!!!: S/CALLE TERRADA S/N°, CASI BOEDO

2
3
186m2
503m2

Descripción

:: V E N D E :: Ernesto CORDOBA (-Inmobiliaria-)
Chalet Estrenar en Barrio Privado “Tierras Alta”, distrito Carrodilla, Departamento Luján de Cuyo…!!!

¡¡¡…* B° CONSOLIDADO, 100% URBANIZADO, FAMILIAS VIVIENDO*..!!! (B° Ubicado Atrás Acceso Sur- ENTREGA PACTADA):

-UBICACIÓN:
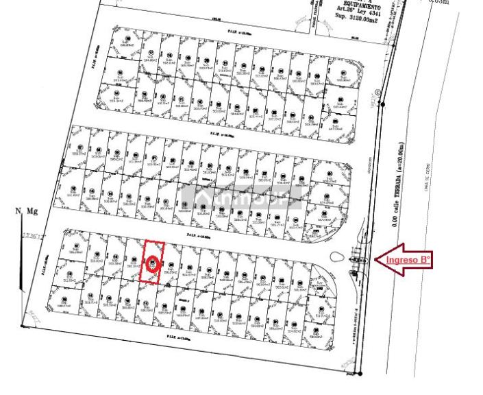
El ingreso al Barrio es por calle Terrada, ubicado entre las calles Boedo y Malabia. Conexión directa con Acceso Sur, como también salida directa a calle Juan José Paso. Loteo colindante con Acceso Sur. Entorno ya consolidado, con cercanías a: Strip centers, Marista Rugby Club, Liceo Rugby Club, entre otros puntos de interés.-
El Lote se encuentra sobre calle de ingreso principal, a 135 mtrs. de la Guardia, emplazado en la Mzna. D, con frente orientado hacia el Norte…!!!.-

-DISTRIBUCIÓN GRAL.:
La vivienda se encuentra distribuida de la siguiente manera: Cochera doble (cubierta), amplio Living–Comedor, Cocina integrada (con isla), Lavandería independiente, Baño principal (completo), 2 Dormitorios con placares completos + Dormitorio principal en suite, con vestidor y baño sectorizado y Patio interno con churrasquera…!!!.-

-RESEÑA DEL LOTEO:
Loteo ya urbanizado, el cual posee los siguientes servicios:
• Servicios subterráneos.-
• Calles asfaltadas.-
• Iluminación con farolas.-
• Seguridad privada 24 hs.-

- DETALLES y EQUIPAMIENTO VIVIENDA:
• Calefacción central por losa radiante.-
• Pisos de porcelanato.-
• Preinstalación de Aire Acondicionado (en todos los ambientes).-
• Sistema de riego por aspersión.-
• Revestimiento exterior (texturado), detalles en piedra y pintura de alta primera.-
• Se entrega con: ánafe, horno, caldera, termotanque y extractor.-
• Carpintería de aluminio (DVH).-

-NOTA:
Fecha de entrega y terminación: Junio/26…!!!.-

Mayor Información y Fotos en nuestra Web: www.ERNESTOCORDOBAVENDE.com.ar

*El precio, distancias y medidas indicadas, son de referencia, sujeto a modificaciones sin previo aviso.-
*Los datos consignados en esta web, pueden contener errores y no son contractuales; verifique los mismos previamente con nuestro asesor.-


Datos de la propiedad

  • ID#
    2435-1241
  • Tipo de construcción
    Casa
  • Condición
    Venta
  • Superficie Total m2
    503
  • Dormitorios
    3
  • Cochera
    Garage Doble
  • Superficie Cubierta m2
    186
  • Baños
    2
  • Piscina
    No
  • Calefacción Central
  • Zona Escolar
  • Teléfono
    No
  • Antigüedad
    A Estrenar
  • Internet
  • Barrio Privado
  • Cable TV
  • Aire Acondicionado
    No
  • Amoblado/a
    No
  • Tiene Expensas
  • Valor de Expensas
    240000
  • Financiación
  • Apto Crédito Hipotecario
    No
  • Cantidad de Ambientes
    6 o mas
  • Estado de Conservación
    Excelente
  • ¿Recibe Permuta?

Ubicación

¡¡¡…ADYACENCIAS "Acc. Sur"..!!!: s/calle Terrada s/n°, casi Boedo

Avisos similares