Lote en Venta en Rosario, Santa Fe.

Rosario Santa Fe

ZONA INDUSTRIAL,

46985m2

Descripción

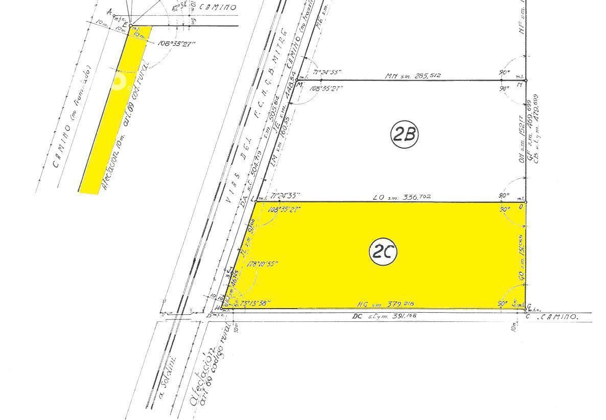
Zona Industrial, Pérez. Próximo a Parque Industrial Metropolitano, a 1.300 metros de Av. Uriburu

Medidas: Frente Sur de 379 metros por 131 metros de fondo lado Este.

Superficie: Total: 46.985 m². Libre de afectación aproximada: 34.000 m².

Aptitud: Industrial

Afectación: Aproximado 12.985 m². Servidumbre de Electroducto: L.A.T. de 220Kv Transener S.A. (Ramallo-Rosario Oeste); L.A.T. de 500 Kv Rosario Oeste - Atucha - General Rodríguez; L.A.M.T. 2x33 Kv y ensanche de camino (10m x 138m).

Todas las fotos publicadas son propiedad intelectual de Furigo Negocios Inmobiliarios. No es permitida su utilización comercial.

FURIGO Negocios Inmobiliarios para vidas en movimiento!

Pablo C. Furigo
Mat. 0334 COCIR


XINTEL (FUG-SPF-588)


Datos de la propiedad

  • ID#
    310516-878
  • Tipo de construcción
    Lote
  • Condición
    Venta
  • Superficie Total m2
    46985

Ubicación

Zona Industrial,

Avisos similares