Lote en Venta en Lujan de Cuyo, Mendoza.

Lujan de Cuyo Mendoza

Lar de Boedo, Carrodilla

BOEDO P11

531m2

Descripción

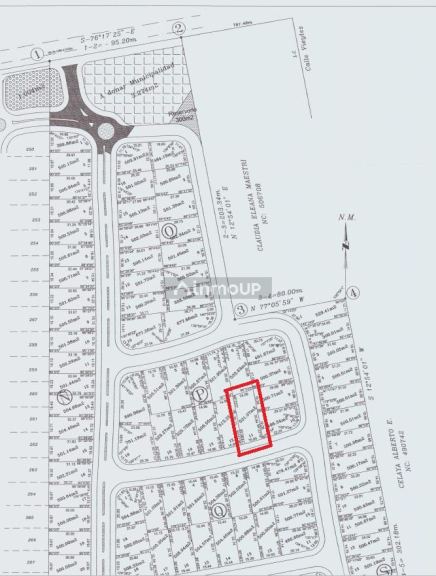
Vendo lote de 531 mts2, ubicado en la 3er etapa del barrio Lar de Boedo, en una manzana central, a 300 mts del nuevo ingreso y de la zona de gym, canchas, plaza niños.

Orientación SUR, . Frente 15.04 x Fondo 35.4 mts.

El barrio está considerado el mejor de la zona por tener la mayor cantidad de ameties y prestaciones con una de las expensas más económicas de la zona. Ubicado en la calle principal y con clubes, comercios en las cercanías.

Doble portal de ingreso. Gimnasio (incuido en las expensas), doble plaza de juegos, cancha de futbol con cesped sintetico, 3 sum de usos multiples.

Valor actual de las expensas 141.000.

El lote cuenta con un proyecto de arquitectura totalmente terminado y aprobado tanto en la municipalidad como en el barrio, por lo que estaría en condiciones de empezar la obra de forma inmediata.

La casa del proyecto cuenta con 171 mts2 techados propios de casa, mas una cochera doble con techo semicubierto (podria hacerse cubierto) y una gran galería también con techo semicubierto (también podria hacerse cubierta).

Toda la casa está desarrollada en Planta Baja, lo que permite no tener que usar escaleras en un futuro.

Consta de gran living comedor, con un baño de visitas, con cocina con isla y una churrasquera de doble abertura a la cual se puede acceder desde la cocina o de la galería.
Posee 3 habitaciones (una con baño en suite y vestidor) y las otras 2 habitaciónes amplias con grandes placares, y un baño completo ubicado entre ellas.
También cuenta con un estudio ubicado frente a un gran ventanal en el pasillo de distribución, y una lavandería completa con acceso a zona de tender.
Por último posee un depósito con ingreso por el retiro de la casa.

El proyecto se diseño aprovechando la orientación y dejando un gran patio donde se podria colocar una pileta y seguir teniendo gran espacio para el jardín.

El diseño es moderno, utilizando materiales como piedra, maderas y colores tenues y claros que son tendencia.


Datos de la propiedad

  • ID#
    6975-51
  • Tipo de construcción
    Lote
  • Condición
    Venta
  • Superficie Total m2
    531
  • Zona Escolar
  • Luz Eléctrica
  • Agua
  • Gas
  • Cloacas
    No
  • Barrio Privado
  • Tiene Expensas
  • Valor de Expensas
    136000

Ubicación

Boedo P11

Avisos similares